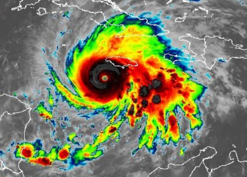
(วันที่ 31 ตุลาคม 2025, คิงส์ตัน/ไมอามี) – ประเทศจาเมกา, หัวใจแห่งวัฒนธรรมเรกเก้และจุดหมายปลายทางท่องเที่ยวสำคัญของโลก, กำลังจมอยู่ใต้ความมืดและความโกลาหลในเช้าวันนี้ หลังจาก เฮอริเคน เมลิสซา (Hurricane Melissa) พายุความรุนแรงระดับ 2 (Category 2) พัดขึ้นฝั่งอย่างรุนแรงบริเวณชายฝั่งตะวันออกเฉียงใต้ ใกล้กับกรุงคิงส์ตัน เมื่อช่วงค่ำของวันพฤหัสบดีที่ 30 ตุลาคม 2025
ศูนย์เฮอริเคนแห่งชาติ (NHC) ในไมอามี รายงานว่า “เมลิสซา” ซึ่งทวีกำลังแรงขึ้นอย่างรวดเร็วก่อนการพัดขึ้นฝั่ง (Landfall) ได้นำพาอิทธิพล “หายนะ” มาด้วย ด้วยความเร็วลมสูงสุดใกล้ศูนย์กลาง 110 ไมล์ต่อชั่วโมง (177 กิโลเมตรต่อชั่วโมง) ก่อให้เกิดฝนตกหนักมหาศาล, คลื่นพายุซัดฝั่ง (Storm Surge) ที่อันตราย และส่งผลให้เกิด จาเมกาไฟดับ เป็นวงกว้าง โดยบริษัทบริการสาธารณะจาเมกา (JPS) ยืนยันว่า ประชาชนเกือบ 800,000 ครัวเรือน หรือคิดเป็น 1 ใน 3 ของประเทศ ไม่มีไฟฟ้าใช้
นายกรัฐมนตรี แอนดรูว์ โฮลเนสส์ (Andrew Holness) ได้ประกาศ “ภาวะภัยพิบัติแห่งชาติ” (National Disaster Declaration) ในช่วงเช้ามืดที่ผ่านมา โดยระบุว่านี่คือ “บททดสอบที่ร้ายแรงที่สุด” ต่อความสามารถในการรับมือและโครงสร้างพื้นฐานของประเทศ นับตั้งแต่ยุคของเฮอริเคน “อีวาน” ในปี 2004 และ “กิลเบิร์ต” ในปี 1988
ขณะที่รายงานความเสียหายเบื้องต้นยังคงหลั่งไหลเข้ามาอย่างต่อเนื่อง ภาพจากพื้นที่ประสบภัยเผยให้เห็นน้ำท่วมฉับพลันในระดับ “ประวัติการณ์” ในหลายพื้นที่ของกรุงคิงส์ตัน, เขตเซนต์แอนดรูว์ และเซนต์โทมัส ถนนหลายสายถูกตัดขาดจากดินถล่ม นี่คือวิกฤตด้านมนุษยธรรมและเศรษฐกิจครั้งใหญ่ ที่กำลังทดสอบความเปราะบางของ “รัฐเกาะ” (Island State) แห่งนี้อย่างถึงขีดสุด

“คิงส์ตัน” ในความมืด 1 ใน 3 ของชาติถูกตัดขาด, JPS เผชิญวิกฤตโครงข่าย
ผลกระทบที่ชัดเจนและรวดเร็วที่สุดจาก เฮอริเคน เมลิสซา คือการล่มสลายของระบบโครงข่ายพลังงาน
บริษัทบริการสาธารณะจาเมกา (Jamaica Public Service – JPS) ผู้ให้บริการไฟฟ้ารายเดียวของประเทศ แถลงการณ์ฉุกเฉินเมื่อเวลา 0600 น. เช้าวันนี้ (31 ต.ค.) ยืนยันว่าลูกค้าประมาณ 800,000 ราย จากทั้งหมดประมาณ 2.5 ล้านคนทั่วประเทศ ไม่มีไฟฟ้าใช้
“นี่คือเหตุการณ์ความเสียหายครั้งใหญ่หลวง” โฆษกของ JPS กล่าว “ทีมงานของเรากำลังประเมินความเสียหาย แต่รายงานเบื้องต้นชี้ว่าสถานีไฟฟ้าย่อยหลายแห่งจมอยู่ใต้น้ำ เสาไฟฟ้าแรงสูงหักโค่นหลายร้อยต้นจากแรงลม และต้นไม้ที่ล้มทับสายส่งคือปัญหาหลักในขณะนี้”
การที่ จาเมกาไฟดับ เป็นวงกว้างในระดับนี้ ไม่ได้หมายถึงแค่ความมืดมิด แต่หมายถึง
- ระบบประปาล่ม โรงสูบน้ำและระบบบำบัดน้ำหลายแห่งต้องหยุดทำงาน ทำให้ประชาชนขาดแคลนน้ำสะอาด
- การสื่อสารตัดขาด เสาสัญญาณโทรศัพท์มือถือล่ม แบตเตอรี่สำรองเริ่มหมดลง ทำให้การติดต่อสื่อสารและการร้องขอความช่วยเหลือเป็นไปอย่างยากลำบาก
- โรงพยาบาลในภาวะวิกฤต แม้โรงพยาบาลหลัก (เช่น Kingston Public Hospital) จะมีเครื่องปั่นไฟสำรอง แต่ก็ต้องเผชิญกับจำนวนผู้บาดเจ็บที่เพิ่มขึ้น และต้องรับมือกับการรักษาผู้ป่วยวิกฤตท่ามกลางทรัพยากรที่จำกัด
การกู้คืนระบบไฟฟ้าคาดว่าจะต้องใช้เวลาหลายสัปดาห์ในบางพื้นที่ โดย JPS ยืนยันว่าภารกิจเร่งด่วนที่สุดคือการกู้คืนไฟฟ้าให้กับโครงสร้างพื้นฐานสำคัญ (โรงพยาบาล, ศูนย์พักพิง, ระบบน้ำ) ก่อน แต่สำหรับประชาชนทั่วไป นี่คือจุดเริ่มต้นของฝันร้ายที่ต้องดำรงชีวิตอยู่โดยปราศจากพลังงาน
เสียงกรีดร้องจาก “เซนต์โทมัส” และ “จังค์ชันโรด” อุทกภัย-ดินถล่มตัดขาดเส้นทาง
ในขณะที่กรุงคิงส์ตันกำลังเผชิญกับน้ำท่วมในเขตเมือง (Urban Flooding) สถานการณ์ในเขตปริมณฑลและพื้นที่ชนบททางตะวันออก ซึ่งเป็นจุดที่ “แกนตาพายุ” (Eyewall) พัดผ่านโดยตรง กลับเลวร้ายยิ่งกว่า
ODPEM (Office of Disaster Preparedness and Emergency Management) หรือสำนักงานเตรียมความพร้อมและจัดการภัยพิบัติแห่งชาติของจาเมกา รายงานว่าเขต “เซนต์โทมัส” (St. Thomas) และ “เซนต์แอนดรูว์” (St. Andrew) คือพื้นที่ที่ได้รับผลกระทบหนักที่สุด
“เมลิสซา” เป็นพายุที่เคลื่อนตัวค่อนข้างช้า ทำให้มัน “แช่” อยู่เหนือพื้นที่ภูเขาของจาเมกาเป็นเวลานานหลายชั่วโมง และปลดปล่อยปริมาณน้ำฝนที่ “ไม่เคยปรากฏมาก่อน” (Unprecedented) ส่งผลให้เกิดน้ำท่วมฉับพลันและดินโคลนถล่มรุนแรง
- การตัดขาดเส้นทางคมนาคม เส้นทางหลักที่เชื่อมต่อกรุงคิงส์ตันกับชายฝั่งทางเหนือ หรือที่รู้จักในชื่อ “จังค์ชันโรด” (Junction Road) ถูกปิดตายอย่างสมบูรณ์จากเหตุดินถล่มหลายสิบจุด
- ชุมชนถูกโดดเดี่ยว หมู่บ้านหลายแห่งในเขตบลูเมาน์เทน (Blue Mountains) ถูกตัดขาดจากโลกภายนอกโดยสิ้นเชิง แม่น้ำหลายสายเอ่อล้นตลิ่งกลายเป็นกระแสน้ำเชี่ยวกราก
- ปฏิบัติการกู้ภัย ODPEM ได้เปิดศูนย์พักพิงชั่วคราวแล้วกว่า 200 แห่งทั่วประเทศ แต่การเข้าถึงพื้นที่ประสบภัยเป็นไปอย่างยากลำบากอย่างยิ่ง กองกำลังป้องกันประเทศจาเมกา (JDF) ได้ส่งเฮลิคอปเตอร์ขึ้นบินเพื่อประเมินความเสียหายและช่วยเหลือผู้ประสบภัยที่ติดค้างบนหลังคาบ้านทันทีที่สภาพอากาศเอื้ออำนวย
“เราได้ยินเสียงผู้คนร้องขอความช่วยเหลือตลอดทั้งคืน” ผู้อยู่อาศัยในเขตเซนต์โทมัสให้สัมภาษณ์กับสื่อท้องถิ่น “น้ำมาเร็วมาก ทุกอย่างหายไปในพริบตา”

“บททดสอบที่เลวร้ายที่สุดนับตั้งแต่ ‘อีวาน 2004′” ประวัติศาสตร์บาดแผลที่หวนคืน
“นี่คือค่ำคืนที่ยาวนานสำหรับจาเมกา… ความเสียหายที่เกิดขึ้นนั้นกว้างขวางและรุนแรง” นายกรัฐมนตรี แอนดรูว์ โฮลเนสส์ กล่าวในแถลงการณ์ถ่ายทอดสดทั่วประเทศเมื่อเช้าวันนี้ “ผมได้ประกาศให้พื้นที่ที่ได้รับผลกระทบทั้งหมดเป็นเขตภัยพิบัติแล้ว นี่คือบททดสอบความยืดหยุ่นของชาติเราครั้งใหญ่หลวงที่สุดนับตั้งแต่เฮอริเคนอีวาน”
การที่ผู้นำจาเมกาอ้างอิงถึง เฮอริเคน อีวาน (Hurricane Ivan) ในปี 2004 นั้นมีความสำคัญอย่างยิ่ง
แม้ว่า “อีวาน” จะไม่ได้พัดขึ้นฝั่งจาเมกาโดยตรง (แกนตาพายุเฉียดไปทางใต้) แต่ความรุนแรงระดับ Category 4-5 ของมัน ก็ได้สร้างความเสียหายอย่างมหาศาลให้กับเกาะ และทำลายล้างประเทศเกรเนดาจนราบเป็นหน้ากลอง
แต่สำหรับ เฮอริเคน เมลิสซา นี่คือ “การพัดขึ้นฝั่งโดยตรง” (Direct Hit) ครั้งแรกของพายุเฮอริเคนขนาดใหญ่ (Major Hurricane) ที่กระทำต่อพื้นที่ที่มีประชากรหนาแน่นที่สุดของจาเมกา (คือกรุงคิงส์ตัน) นับตั้งแต่ เฮอริเคน กิลเบิร์ต (Hurricane Gilbert) ในปี 1988
- กิลเบิร์ต (1988) เป็น “พายุแห่งศตวรรษ” สำหรับจาเมกา พัดผ่านทั้งเกาะในระดับ Category 3 สร้างความเสียหายยับเยินและเปลี่ยนโฉมหน้าประเทศ
- อีวาน (2004) เป็นการ “เฉียด” ที่เจ็บปวด สร้างความเสียหายหนักทางชายฝั่งตอนใต้
- เมลิสซา (2025) คือฝันร้ายครั้งใหม่ ที่พุ่งเป้าโจมตี “หัวใจ” ของประเทศโดยตรง คือเมืองหลวง, ศูนย์กลางเศรษฐกิจ และโครงสร้างพื้นฐานหลัก
นักวิเคราะห์ด้านภัยพิบัติชี้ว่า แม้จาเมกาจะมีระบบเตือนภัยที่ดีขึ้นมากนับตั้งแต่ยุค ‘กิลเบิร์ต’ แต่ความเปราะบางของโครงสร้างพื้นฐาน, การขยายตัวของเมืองที่ไร้การควบคุมในพื้นที่เสี่ยง (เช่น ริมตลิ่งและไหล่เขาในคิงส์ตัน) และความยากจน ได้ทำให้ผลกระทบจากพายุครั้งนี้รุนแรงกว่าที่ควรจะเป็น
วิทยาศาสตร์ของ “เมลิสซา” ทำไม Cat 2 ถึงสร้างหายนะได้เทียบเท่า Cat 4?
ในขณะที่หลายคนอาจมองว่าพายุระดับ 2 (Category 2) ไม่น่าจะรุนแรงถึงขั้น “หายนะ” แต่ ศูนย์เฮอริเคนแห่งชาติ (NHC) ได้เตือนมาตลอดหลายวันว่า “เมลิสซา” มีคุณสมบัติที่อันตรายอย่างยิ่ง
- การทวีกำลังอย่างรวดเร็ว (Rapid Intensification) “เมลิสซา” พัฒนาจากพายุโซนร้อนเป็นเฮอริเคนระดับ 2 ภายในเวลาเพียง 24 ชั่วโมงก่อนขึ้นฝั่ง ทำให้ประชาชนและเจ้าหน้าที่มีเวลาเตรียมตัวน้อยมาก
- ปริมาณน้ำฝน (Rainfall) อันตรายที่แท้จริงของ “เมลิสซา” ไม่ใช่แค่ลม แต่คือ “น้ำ” พายุนี้ดูดความชื้นมหาศาลจากทะเลแคริบเบียนที่อุ่นจัด และ “ปล่อย” น้ำฝนปริมาณ 15-20 นิ้ว (หรือมากกว่านั้นในพื้นที่ภูเขา) ภายในเวลาไม่ถึง 24 ชั่วโมง
- เส้นทางที่เลวร้ายที่สุด (Worst-Case Track) เส้นทางเฮอริเคน เมลิสซา พุ่งตรงจากตะวันออกเฉียงใต้ ซึ่งหมายความว่ามันผลักดัน “คลื่นพายุซัดฝั่ง” (Storm Surge) ปริมาณมหาศาลเข้าสู่อ่าวคิงส์ตันโดยตรง และปะทะกับเทือกเขาบลูเมาน์เทน ทำให้เกิดฝนตกหนักและดินถล่มอย่างที่เห็น
นี่คือตัวอย่างคลาสสิกของ “พายุที่เปียกและช้า” (Wet and Slow) ซึ่งมักจะสร้างความเสียหายจากน้ำท่วมได้มากกว่าพายุที่ “แรงและเร็ว” (Fast and Windy) เสียอีก
ผลกระทบต่อเศรษฐกิจโลก “กาแฟบลูเมาน์เทน” และ “การท่องเที่ยว” ในภาวะวิกฤต
นอกเหนือจากวิกฤตมนุษยธรรมเฉพาะหน้า ความเสียหายเฮอริเคน เมลิสซา จาเมกา กำลังส่งแรงกระเพื่อมไปยังเศรษฐกิจโลกในสองอุตสาหกรรมหลักที่จาเมกาเป็นผู้เล่นสำคัญ
หายนะของ “กาแฟบลูเมาน์เทน” (Blue Mountain Coffee)
พื้นที่ที่ได้รับผลกระทบหนักที่สุดจากน้ำท่วมและดินถล่ม คือเขตเซนต์แอนดรูว์ และเซนต์โทมัส ซึ่งเป็นที่ตั้งของ เทือกเขาบลูเมาน์เทน (Blue Mountains) นี่คือแหล่งเพาะปลูก “กาแฟบลูเมาน์เทน” ที่มีชื่อเสียงโด่งดังที่สุดในโลก และเป็นหนึ่งในกาแฟที่มีราคาแพงที่สุด
- ผลกระทบ ดินถล่มได้ทำลายไร่กาแฟ (Coffee Farms) ไปเป็นจำนวนมาก ต้นกาแฟที่กำลังรอการเก็บเกี่ยวถูกทำลาย และเส้นทางขนส่งผลผลิตถูกตัดขาด
- ลูกค้ารายใหญ่ ญี่ปุ่น คือผู้นำเข้ากาแฟบลูเมาน์เทนรายใหญ่ที่สุดของโลก (กว่า 80% ของผลผลิต) ตามมาด้วยสหรัฐอเมริกาและยุโรป
- แนวโน้ม คาดว่าผลผลิตกาแฟบลูเมาน์เทนในปีนี้จะ “หายนะ” ส่งผลให้ราคากาแฟเกรดพรีเมียมนี้ในตลาดโลกพุ่งสูงขึ้นอย่างแน่นอน และอาจต้องใช้เวลาหลายปีกว่าที่เกษตรกรจะฟื้นตัวได้
อุตสาหกรรมท่องเที่ยวที่หยุดชะงัก
แม้ว่า “เมลิสซา” จะไม่ได้พุ่งเป้าไปที่ศูนย์กลางการท่องเที่ยวหลักอย่าง “มอนเตโก เบย์” (Montego Bay) หรือ “โอโช ริออส” (Ocho Rios) ที่อยู่ทางชายฝั่งตอนเหนือโดยตรง แต่ผลกระทบทางอ้อมนั้นรุนแรงมาก
- การปิดสนามบิน สนามบินนานาชาตินอร์แมน แมนลีย์ (Norman Manley International Airport – KIN) ในคิงส์ตัน จมอยู่ใต้น้ำและต้องปิดให้บริการอย่างไม่มีกำหนด
- ภาพลักษณ์ของประเทศ ภาพความเสียหายรุนแรง, ไฟดับทั่วประเทศ, และการประกาศภาวะภัยพิบัติ จะส่งผลกระทบอย่างหนักต่อความเชื่อมั่นของนักท่องเที่ยวใน “ฤดูท่องเที่ยว” (High Season) ที่กำลังจะมาถึงในเดือนธันวาคม
- โครงสร้างพื้นฐาน การที่ถนนสายหลักถูกตัดขาด ทำให้การขนส่งเสบียงไปยังโรงแรมต่างๆ (แม้จะไม่ได้รับผลกระทบโดยตรง) เป็นไปอย่างยากลำบาก
เศรษฐกิจของจาเมกาพึ่งพารายได้จากการท่องเที่ยวเป็นอย่างมาก การหยุดชะงักในครั้งนี้จะสร้างความเสียหายคิดเป็นมูลค่าหลายร้อยล้านดอลลาร์สหรัฐ
บทเรียนจากแคริบเบียนถึงเอเชีย ความเปราะบางของ “รัฐเกาะ” ในยุคโลกร้อน
โศกนาฏกรรมของจาเมกาในครั้งนี้ สะท้อนบทเรียนสำคัญมายังภูมิภาคเอเชียตะวันออกเฉียงใต้และประเทศไทย
จาเมกา, ฟิลิปปินส์, อินโดนีเซีย หรือแม้แต่พื้นที่ชายฝั่งของไทย ต่างก็เผชิญกับความท้าทายร่วมกันในฐานะ “รัฐเกาะ” หรือ “รัฐชายฝั่ง” ที่เปราะบางต่อการเปลี่ยนแปลงสภาพภูมิอากาศ (Climate Change)
นักวิทยาศาสตร์ด้านภูมิอากาศชี้ว่า แม้จำนวนพายุเฮอริเคนอาจไม่เพิ่มขึ้น แต่ “ความรุนแรง” และ “การทวีกำลังอย่างรวดเร็ว” (Rapid Intensification) แบบที่เกิดกับ “เมลิสซา” นั้น มีแนวโน้มเกิดขึ้นบ่อยครั้งขึ้นเนื่องจากอุณหภูมิน้ำทะเลที่สูงขึ้น
ความเปราะบางของจาเมกาในครั้งนี้ คือบทเรียนของเอเชียในวันข้างหน้า
- ความมั่นคงทางพลังงาน การพึ่งพาโครงข่ายไฟฟ้าแบบรวมศูนย์ (Centralized Grid) ที่อยู่บนดิน ทำให้ล่มสลายได้ง่ายเมื่อเผชิญพายุใหญ่ การลงทุนในระบบ Microgrids หรือพลังงานแสงอาทิตย์แบบกระจายตัวจึงเป็นทางรอด
- การวางผังเมือง การปล่อยให้มีการตั้งถิ่นฐานในพื้นที่เสี่ยง (ริมน้ำ, ไหล่เขา) นำไปสู่ความสูญเสียชีวิตและทรัพย์สินที่มหาศาล
- ความมั่นคงทางอาหาร ดังที่เห็นจากกรณี “กาแฟบลูเมาน์เทน” พายุเพียงลูกเดียวสามารถทำลายอุตสาหกรรมการเกษตรที่เป็นเส้นเลือดหลักของชาติได้
บทสรุปและก้าวต่อไป ภารกิจกู้ซากปรักหักพัง และเส้นทางของ “เมลิสซา”
ณ เวลา 1100 น. (ตามเวลาประเทศไทย) เฮอริเคน เมลิสซา ล่าสุด ได้อ่อนกำลังลงเล็กน้อยหลังปะทะกับภูเขาในจาเมกา และกำลังเคลื่อนตัวมุ่งหน้าไปทางตะวันตกเฉียงเหนือ กลับลงสู่ทะเลแคริบเบียน
ศูนย์เฮอริเคนแห่งชาติ (NHC) คาดการณ์ว่า “เมลิสซา” จะยังคงเป็นเฮอริเคนที่อันตราย และกำลังมุ่งหน้าไปยัง หมู่เกาะเคย์แมน และ คิวบาตะวันตก ซึ่งขณะนี้ได้ประกาศเตือนภัยพายุในระดับสูงสุดแล้ว
สำหรับจาเมกา การต่อสู้ที่แท้จริงเพิ่งเริ่มต้น ภารกิจเร่งด่วนใน 72 ชั่วโมงข้างหน้าคือการค้นหาและกู้ภัย, การเปิดเส้นทางคมนาคมที่ถูกตัดขาด, และการฟื้นฟูระบบไฟฟ้าและน้ำประปาในพื้นที่สำคัญ
“เมลิสซา” ได้ทิ้ง “บาดแผล” ขนาดใหญ่ไว้บนเกาะแห่งนี้ มันคือเครื่องเตือนใจอันโหดร้ายว่า ในยุคที่สภาพอากาศสุดขั้วกำลังกลายเป็นเรื่องปกติ “การเตรียมพร้อม” ไม่ใช่ทางเลือก แต่คือ “ความอยู่รอด”
แหล่งที่มาจาก : am2con